imobiliare .net
Login
Inregistrare
Anunt
Tur 360
Alerte
Favorite
Mesagerie
RO
Favorit
Sesizeaza neregula

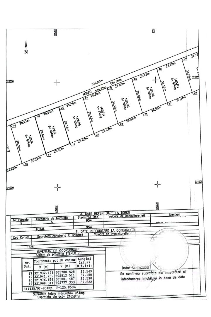
Vanzare teren intravilan Cernica_Tânganu, lot 954mp

Suprafata
954 m2
Tip teren
Intravilan
Clasificare teren
Construibil
ID
315863400

Cernica_sat Tânganu,la granita cu Fundeni-Frunzaresti, in apropiere Raul Dambovita, teren intravilan, la 50m de statia de autobuz R451 cu capat de linie la Metrou Republica Bucuresti si statie feroviara Halta Tanganu cu ruta Oltenita-Bucuresti Titan Sud (care, de asemenea, se afla langa statia de metrou Republica).
Poate fi achizitionat si integral sau mai multe loturi.
Terenul are o suprafata totala masurata 21.664mp, parcelat in 20 loturi, din care 19 loturi cu suprafata de 954mp, fiecare, 1 lot 966mp, iar 2.572mp au fost atribuiti pentru drumul de acces. Deschiderile la calea de acces sunt cuprinse intre min. 22ml-max. 29ml pe o lungime a terenurilor cuprinse intre min 32ml-max.41.5ml.
Comision agentie 1000 Euro.