imobiliare .net
Login
Inregistrare
Anunt
Tur 360
Alerte
Favorite
Mesagerie
RO
Favorit
Sesizeaza neregula

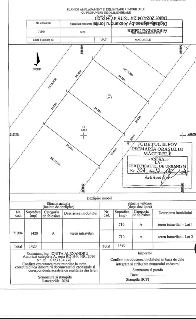
Soseaua Giurgiului/Progresu,teren 710mp D/20ml/39 000euro

Suprafata
710 m2
Front stradal
20 m
Tip teren
Intravilan
Clasificare teren
Construibil
ID
315862113

Soseaua Giurgiului/Jilava strada Merilor în spatele benzinăriei Petrom, in apropiere de Dedeman și de Sos Giurgiului ,teren in suprafață de 710mp cu o deschidere de 20ml. Zona de case vile, foarte aproape de mijloace de transport in comun. Terenul are certificat de urbanism.
Pe teren există servitute de rețea electrică, fiind amplasat un stâlp de medie tensiune în apropiere, iar liniile electrice aeriene traversează parțial terenul, conform planului de amplasament.
Pret negociabil!



Pozitia pe harta Soseaua Giurgiului/Progresu,teren 710mp D/20ml/39 000euro